tbd CHANEY RD, Zachary, LA 70791
$750,000
Property Type:
Land
Lot Size (sq. ft.):
2,744,280
Status:
Active
Current Price:
$750,000
List Date:
9/26/2023
Last Modified:
1/31/2026
Overview
Description
Listing Details MLS# BR2023016088
Listing Info
- Listing Price
- 750000
- Modification Timestamp
- 2026-01-31T14:18:26Z
- Photo Modified
- 2026-01-31T14:18:26Z
Location Tax Legal Info
- Street Number
- tbd
- Street Name
- CHANEY RD
- Parish
- East Baton Rouge
- State
- LA
- Zip Code
- 70791
- Subdivision
- Rural Tract (NO Subd)
- Area
- EBR MLS Area 21
- Tax Assessment Number
- 30850919
- Zone
- res
- Directions
- turn onto Chaney rd from Liberty rd. property half a mile down on the left. Access from gravel rd or right past bridge on the left.
General Property Description
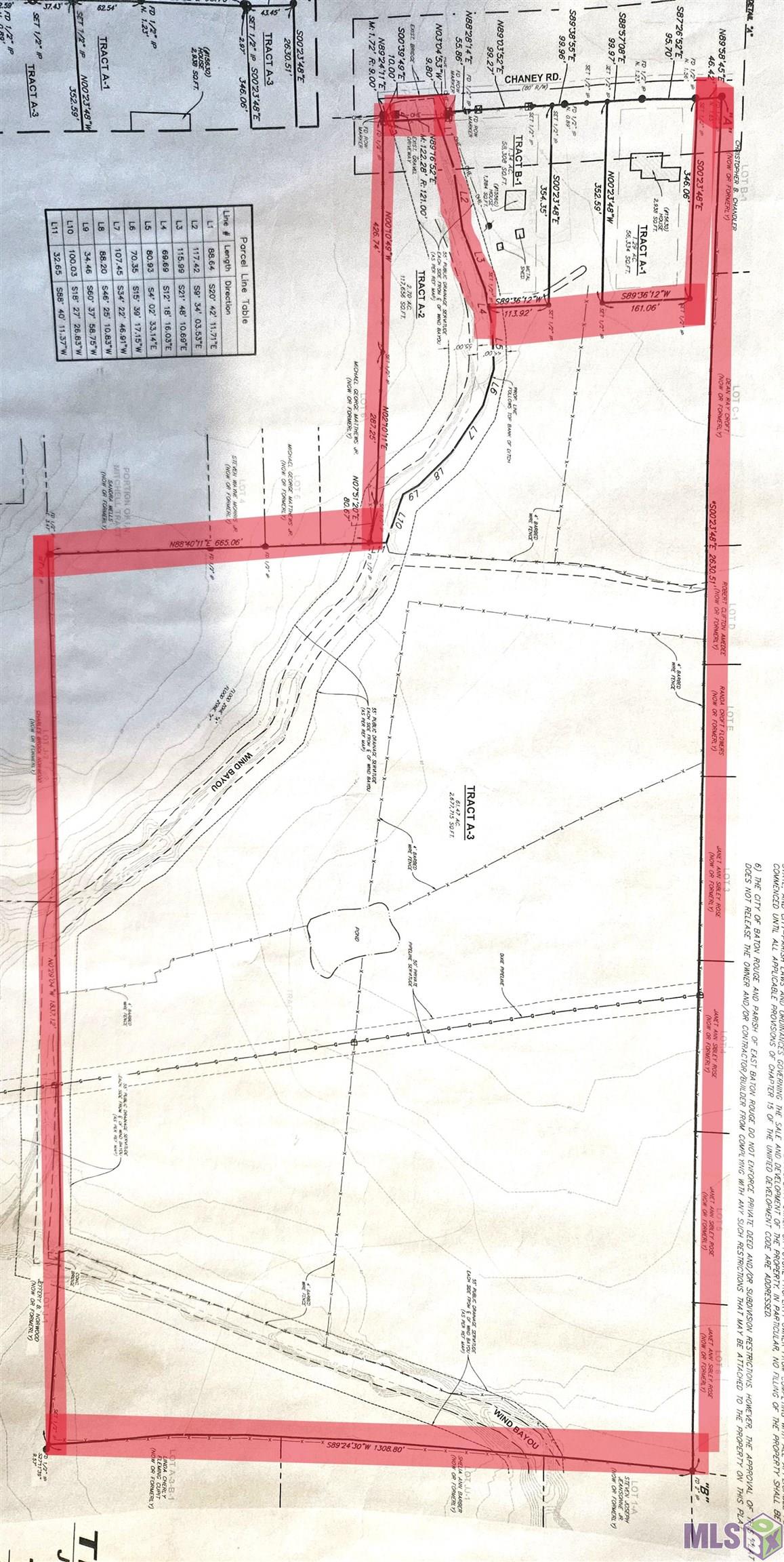
- Lot Dimensions
- 46.2x2630.51x1308.80x1837.12x665.06x794.66x122
- Acres
- 63
- St Front (Ft)
- 168
- Mobile Allowed
- No
- Wooded %
- 20
- Cleared %
- 80
- Pasture %
- 80
- Divisible
- Yes
- Mineral Rights Leased
- No
- Mineral Rights
- Conveyed
- Income
- No
- Acreage Range
- 50 - 99.99
Originating Details
- Originating System ID
- ROAMP
- Originating System Key
- 2023016088
- Originating System Listing ID
- 2023016088
- Originating System Name
- ROAM Paragon
Location, Tax & Legal Info
- School District
- East Baton Rouge
- Legal Desc
- Tract A-2 & A-3 Joseph E. Penny tract located in sec. 26, T4s-R2E
Location
- Rural
- Yes
More Information
Remarks & Misc
- Remarks
- 63 acres of country living. Currently a working farm. There has been a survey completed to break the property into 6 separate lots, perfect for a developer looking to build several homes, sell individual lots, or keep the full 63 acres for lots of land to roam, the possibilities are endless. There is access to the property from two separate locations on Chaney rd. Stocked pond in the middle of the property with amazing huge live oaks where the original homesite used to be. Once you ride around this beautiful land you will never want to leave.
Office/Member/Contract Info
- List AOR
- GBRAR
Land Type
- Residential
- Yes
Price Includes
- Land
- Yes
Potential Use
- Recreational
- Yes
- Single Family
- Yes
Road Frontage
- City Street
- Yes
- Paved
- Yes
- Private Road
- Yes
Improvements
- Lot Staked
- Yes
- Open Ditches
- Yes
Buildings
- None
- Yes
Farm Equipment
- None
- Yes
Water Source
- None
- Yes
Utilities
- Cable Available
- Yes
- Electricity Available
- Yes
- Fiber Optics Available
- Yes
- Natural Gas Available
- Yes
Restrictions
- No Mobile
- Yes
Waterfront
- Lake
- Yes
Fencing
- Other
- Yes
Financing
- Cash
- Yes
- Conventional
- Yes
- FHA
- Yes
- VA
- Yes
Miscellaneous
- Horse Property
- Yes
Property Features
Land Type:
Residential
Price Includes:
Land
Potential Use:
Recreational; Single Family
Road Frontage:
City Street; Paved; Private Road
Location:
Rural
Improvements:
Lot Staked; Open Ditches
Buildings:
None
Farm Equipment:
None
Utilities:
Cable Available; Electricity Available; Fiber Optics Available; Natural Gas Available
Water Source:
None
Restrictions:
No Mobile
Waterfront:
Lake
Fencing:
Other
Financing:
Cash; Conventional; FHA; VA
Miscellaneous:
Horse Property
IDX
Listing Office:
The W Group Real Estate LLC
Last Updated: January - 31 - 2026
The data relating to real estate for sale or lease on this website comes in part from the IDX program of the REALTOR® Association of Acadiana MLS. The IDX information is provided exclusively for consumers’ personal, non-commericial use and may not be used for any purpose other than to identify prospective properties consumers may be interested in purchasing. Data is deemed reliable but is not guaranteed accurate by the MLS.
