U.S. HWY 190 Highway, Hammond, LA 70401
$2,265,120
Property Type:
Land
Status:
Active
Current Price:
$2,265,120
List Date:
2/10/2007
Last Modified:
9/25/2025
Description
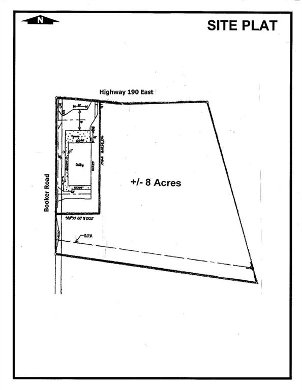
* OWNER FINANCING AVAILABLE! * Approximately 8 acres located at the Intersection of US Hwy 190 and Booker Rd. Site benefits from the no zoning classification and direct access to Highway 190 and Booker. Additionally, site is in proximity to an array of commercial, industrial and residential developments. Link to Tangipahoa Parish Economic Development - Endless Opportunities Video - https://vimeo.com/896662278
Supplements: ********
More Information MLS# NO2216827
Listing Info
Document Modified: 2024-11-02 08:43:53.771460
Status: Active
Listing Date: 2007-02-09
Listing Price: 2265120
Current Price: $2,265,120
Modification Timestamp: 2025-09-25T19:11:37Z
Photo Modified: 2024-11-02T13:38:49Z
General Property Description
Lot Dimensions: 99999.00 x 99999.00 x 99999.00 x 99999.00
St Front (Ft): 99999
Mobile Allowed: No
Divisible: No
Acreage Range: 6 - 10.99
Remarks & Misc
Remarks: * OWNER FINANCING AVAILABLE! * Approximately 8 acres located at the Intersection of US Hwy 190 and Booker Rd. Site benefits from the no zoning classification and direct access to Highway 190 and Booker. Additionally, site is in proximity to an array of commercial, industrial and residential developments. Link to Tangipahoa Parish Economic Development - Endless Opportunities Video - https://vimeo.com/896662278
Office/Member/Contract Info
List AOR: NOMAR
Land Type
Commercial: 1
Potential Use
Commercial: 1
Industrial: 1
Water Source
None: 1
Utilities
Electricity Available: 1
Financing
Owner Finance: 1
Originating Details
Originating System ID: ROAMM
Originating System Key: 18965652
Originating System Listing ID: 2216827
Originating System Name: ROAM Matrix
Location Tax Legal Info
Street Name: U.S. HWY 190 Highway
Parish: Tangipahoa
State: LA
Zip Code: 70401
Tax Assessment Number: 70401U.S.Hwy190HYn/a
Zone: None
Directions: Bounding Streets: Booker II Rd
Property Features
Land Type: Commercial
Potential Use: Commercial; Industrial
Utilities: Electricity Available
Water Source: None
Financing: Owner Finance
Listing Office:
Stirling Properties
IDX
Last Updated: September - 25 - 2025
The data relating to real estate for sale or lease on this website comes in part from the IDX program of the REALTOR® Association of Acadiana MLS. The IDX information is provided exclusively for consumers’ personal, non-commericial use and may not be used for any purpose other than to identify prospective properties consumers may be interested in purchasing. Data is deemed reliable but is not guaranteed accurate by the MLS.
