TBD SILVERLEAF AVE, Baton Rouge, LA 70812
$675,000
Property Type:
Land
Lot Size (sq. ft.):
815,008
Status:
Active
Current Price:
$675,000
List Date:
7/26/2024
Last Modified:
1/21/2026
Description
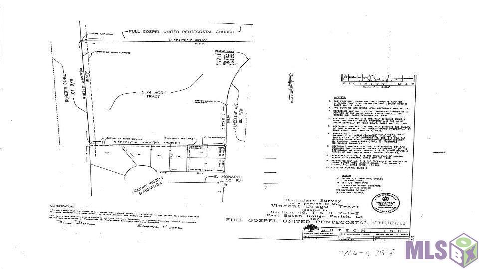
RESIDENTIAL/COMMERCIAL/MULTI FAMILY DEVELOPMENT +/-18 ACRES FOR SALE Excellent property for residential development whether single or multi-family use. Acreage is in two separate tracts (13 A/C & 5.7A/C). Ownership will consider a sale of one tract if preferable. A portion of the larger is commercial zoning. Current residential development adjoins the property to the South and West. Highest and best use is residential with possible federally subsidized housing.Property did not flood in 2016.
Supplements: ********
More Information MLS# BR2024014324
Location, Tax & Legal Info
School District: East Baton Rouge
Legal Desc: WARD: 2-1, SUBDIVISION: DRAGO, WILLIE ESTATE, LOT: 24. TRACT 24, CONT. 13.002 +/- ACRES, RESUB. OF LOT 22, OF THE DRAGO, WILLIE ESTATE & 19.98 ACRES, IN S EC.40, T6S, R1E.(LESS SERV. OVER 1.63 ACRES TO PARISH OF EAST BATON ROUGE).(LESS SERVITUDE).RESUB. 2
Location
Rural: 1
General Property Description
Lot Dimensions: see plat
Mobile Allowed: No
Mineral Rights: Conveyed
Acreage Range: 11 - 19.99
Acres: 18.71
Remarks & Misc
Remarks: RESIDENTIAL/COMMERCIAL/MULTI FAMILY DEVELOPMENT +/-18 ACRES FOR SALE Excellent property for residential development whether single or multi-family use. Acreage is in two separate tracts (13 A/C & 5.7A/C). Ownership will consider a sale of one tract if preferable. A portion of the larger is commercial zoning. Current residential development adjoins the property to the South and West. Highest and best use is residential with possible federally subsidized housing.Property did not flood in 2016.
Office/Member/Contract Info
List AOR: GBRAR
Land Type
Residential: 1
Price Includes
Land: 1
Present Use
Commercial: 1
Potential Use
Multi-Family: 1
Single Family: 1
Road Frontage
City Street: 1
Lot Description
Level: 1
Improvements
None: 1
Water Source
None: 1
Restrictions
Other: 1
Financing
Cash: 1
Conventional: 1
Originating Details
Originating System ID: ROAMP
Originating System Key: 2024014324
Originating System Listing ID: 2024014324
Originating System Name: ROAM Paragon
Listing Info
Status: Active
Listing Date: 2024-07-26
Listing Price: 675000
Current Price: $675,000
Modification Timestamp: 2026-01-21T15:16:38Z
Photo Modified: 2026-01-21T15:16:38Z
Location Tax Legal Info
Street Number: TBD
Street Name: SILVERLEAF AVE
Parish: East Baton Rouge
State: LA
Zip Code: 70812
Subdivision: Rural Tract (NO Subd)
Area: EBR MLS Area 22
Tax Assessment Number: 1213555
Property Features
Land Type: Residential
Price Includes: Land
Present Use: Commercial
Potential Use: Multi-Family; Single Family
Lot Description: Level
Road Frontage: City Street
Location: Rural
Improvements: None
Water Source: None
Restrictions: Other
Financing: Cash; Conventional
Listing Office:
Better Homes and Gardens Real Estate - Tiger Town BR
IDX
Last Updated: January - 21 - 2026
The data relating to real estate for sale or lease on this website comes in part from the IDX program of the REALTOR® Association of Acadiana MLS. The IDX information is provided exclusively for consumers’ personal, non-commericial use and may not be used for any purpose other than to identify prospective properties consumers may be interested in purchasing. Data is deemed reliable but is not guaranteed accurate by the MLS.
