7979 AIRLINE HWY, Baton Rouge, LA 70815
$1,450,000
Property Type:
Comm Bldg Sale/Lease
Square Footage:
1,500
Lot Size (sq. ft.):
28,314
Status:
Pending
Current Price:
$1,450,000
List Date:
3/29/2024
Last Modified:
2/13/2026
Description
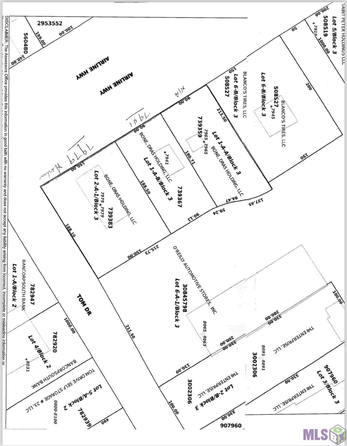
This listing includes 3 total lots. Lot 2-A-1/BLOCK 3: 150 x 188.10 +- LOT 1-A-B/BLOCK 3: 90 x 188.50 +- LOT 1-A-A/BLOCK 3: 90 x 195 +- ALL 3 LOTS MUST BE SOLD TOGETHER. *2 of the lots have a rental income- call listing agent for amounts and details. Square footage is approximate and not verified as to the structures. The corner lot is an active gas station. PROPERTY IS LOCATED ON THE CORNER OF TOM DR. AND AIRLINE HWY.
Supplements: ********
More Information MLS# BR2024005225
Listing Info
For Sale: Yes
List Price/SqFt: 966.67
Document Modified: 2025-07-18 11:54:04.319774
Status: Pending
Listing Date: 2024-03-29
Listing Price: 1450000
Current Price: $1,450,000
Modification Timestamp: 2026-02-13T20:21:11Z
Photo Modified: 2026-02-13T20:05:40Z
Location, Tax & Legal Info
Legal Desc: RESUB OF LOTS 1-A & 2-A IN SEC 71, T7S, R1E RESUB 1984. (OFFICE & STORAGE) 2009. (245-12154)
General Property Description
Lot Dimensions: 150 X 188.10
SqFt - Total: 1500
SqFt - Source: Approximate
Mineral Rights: Conveyed
Acreage Range: 0.51 - 0.99
SqFt - Retail: 1500
SqFt - Office: 0
SqFt - Warehouse: 0
Acres: 0.65
Sale/Lease Info
Lease Purchase: No
Deposit: 0
Remarks & Misc
Remarks: This listing includes 3 total lots. Lot 2-A-1/BLOCK 3: 150 x 188.10 +- LOT 1-A-B/BLOCK 3: 90 x 188.50 +- LOT 1-A-A/BLOCK 3: 90 x 195 +- ALL 3 LOTS MUST BE SOLD TOGETHER. *2 of the lots have a rental income- call listing agent for amounts and details. Square footage is approximate and not verified as to the structures. The corner lot is an active gas station. PROPERTY IS LOCATED ON THE CORNER OF TOM DR. AND AIRLINE HWY.
Office/Member/Contract Info
List AOR: GBRAR
Property Type
Business Opportunity: 1
Industrial: 1
Retail: 1
Price Includes
Real Estate: 1
Parking
On Site: 1
Road Frontage
Paved: 1
Public Street: 1
Construction
Block: 1
Metal Siding: 1
Foundation
Slab: 1
Exterior
Door Sign: 1
Roof
Metal: 1
Heating
Central: 1
Cooling
Central Air: 1
Gas
Available: 1
Electricity
Circuit Breaker: 1
Financing
Cash: 1
Originating Details
Originating System ID: ROAMP
Originating System Key: 2024005225
Originating System Listing ID: 2024005225
Originating System Name: ROAM Paragon
Location Tax Legal Info
Street Number: 7979
Street Name: AIRLINE HWY
Parish: East Baton Rouge
State: LA
Zip Code: 70815
Area: EBR MLS Area 41
Tax Assessment Number: 739383
Status Change Info
Under Contract Date: 2026-02-11
Property Features
Property Type: Business Opportunity; Industrial; Retail
Road Frontage: Paved; Public Street
Exterior: Door Sign
Heating: Central
Cooling: Central Air
Gas: Available
Electricity: Circuit Breaker
Construction: Block; Metal Siding
Roof: Metal
Parking: On Site
Foundation: Slab
Financing: Cash
Price Includes: Real Estate
Listing Office:
Dunaway Realty Company Inc
IDX
Last Updated: February - 13 - 2026
The data relating to real estate for sale or lease on this website comes in part from the IDX program of the REALTOR® Association of Acadiana MLS. The IDX information is provided exclusively for consumers’ personal, non-commericial use and may not be used for any purpose other than to identify prospective properties consumers may be interested in purchasing. Data is deemed reliable but is not guaranteed accurate by the MLS.
