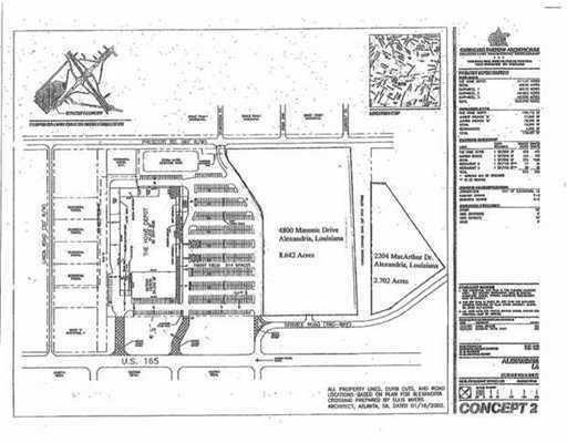
4800 MASONIC Drive, Alexandria, LA 71301
$1,800,000
Property Type:
Land
Lot Size (sq. ft.):
376,358
Status:
Active
Current Price:
$1,800,000
List Date:
11/28/2024
Last Modified:
10/17/2025
Description
8.642 Acres in high vehicle count area at the traffic circle in Alexandria.
Supplements: ********
More Information MLS# CN2470200
Listing Info
Delayed Marketing: No
Document Modified: 2025-10-17 17:05:17.217275
Status: Active
Listing Date: 2024-11-28
Listing Price: 1800000
Current Price: $1,800,000
Modification Timestamp: 2025-10-17T22:20:39Z
Photo Modified: 2024-12-01T07:40:00Z
Location, Tax & Legal Info
Legal Desc: 8.642 ACS: Lot J & PT of Lot H & I Cook-Alexander Sub of Flowerton Plantation; Tract F2
General Property Description
Lot Dimensions: 389.00 x 608.60 x 641.00 x 750.00
St Front (Ft): 389
Mobile Allowed: No
Divisible: No
Acreage Range: 6 - 10.99
Acres: 8.64
Remarks & Misc
Remarks: 8.642 Acres in high vehicle count area at the traffic circle in Alexandria.
Office/Member/Contract Info
List AOR: NOMAR
Land Type
Commercial: 1
Potential Use
Commercial: 1
Water Source
None: 1
Utilities
Electricity Available: 1
Natural Gas Available: 1
Telephone: 1
Originating Details
Originating System ID: ROAMM
Originating System Key: 48834840
Originating System Listing ID: 2470200
Originating System Name: ROAM Matrix
Location Tax Legal Info
Street Number: 4800
Street Name: MASONIC Drive
Parish: Rapides
State: LA
Zip Code: 71301
Area: 100 Rapides, Alex Side
Tax Assessment Number: 234330891
Zone: COM
Directions: South Circle beside Brian Caubarreaux office Bounding Streets: Masonic Drive and Prescott Rd
Property Features
Land Type: Commercial
Potential Use: Commercial
Utilities: Electricity Available; Natural Gas Available; Telephone
Water Source: None
Listing Office:
LATTER AND BLUM Central Realty LLC
IDX
Last Updated: October - 17 - 2025
The data relating to real estate for sale or lease on this website comes in part from the IDX program of the REALTOR® Association of Acadiana MLS. The IDX information is provided exclusively for consumers’ personal, non-commericial use and may not be used for any purpose other than to identify prospective properties consumers may be interested in purchasing. Data is deemed reliable but is not guaranteed accurate by the MLS.
