33250 LA HWY 16, Denham Springs, LA 70706 (MLS# BR2023004357)

33250 LA HWY 16, Denham Springs, LA 70706

$950,000
Property Type: Land Lot Size (sq. ft.): 111,514 Status: Active
Current Price: $950,000 List Date: 3/21/2023 Last Modified: 3/24/2026

Description

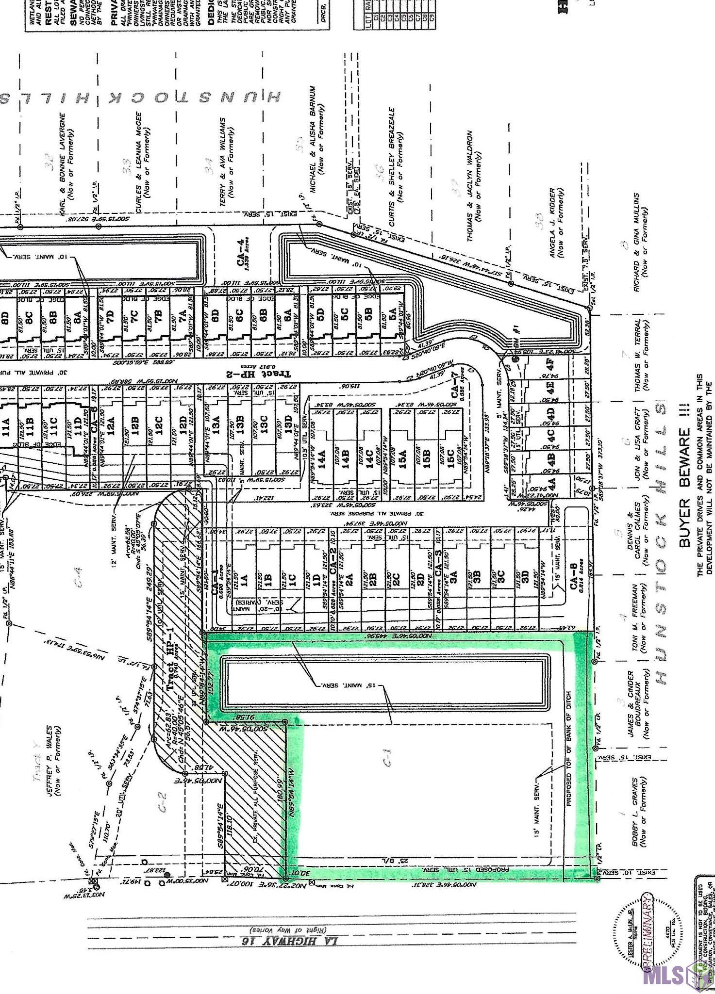
Prime commercial lot in Watson. This 2.56 acre tract includes 358' of road frontage and is zoned commercial. The detention area is constructed and the lot has access to sewer, water, Demco, AT&T and Cox fiber. The 1 year permitting process and the civil work is complete. Includes all engineering fees $50,000+. It is ready to build on!

Supplements: ********

More Information MLS# BR2023004357

Listing Info

Document Modified: 2025-11-07 06:21:10.566525 Status: Active Listing Date: 2023-03-21 Listing Price: 950000 Current Price: $950,000 Modification Timestamp: 2026-03-24T17:03:47Z Photo Modified: 2026-03-24T17:03:27Z

Location, Tax & Legal Info

School District: Livingston Parish Legal Desc: Parcel #0029082 2.56 acres Tract M-1 SEC 46-6-3

Location

Rural: 1

General Property Description

Lot Dimensions: 358.31X180.99X91.58X102.77X445.96X283.76 St Front (Ft): 358 Mobile Allowed: No Cleared %: 100 Mineral Rights: Reserved Acreage Range: 1 - 2.99 Acres: 2.56

Remarks & Misc

Remarks: Prime commercial lot in Watson. This 2.56 acre tract includes 358' of road frontage and is zoned commercial. The detention area is constructed and the lot has access to sewer, water, Demco, AT&T and Cox fiber. The 1 year permitting process and the civil work is complete. Includes all engineering fees $50,000+. It is ready to build on!

Office/Member/Contract Info

List AOR: GBRAR

Land Type

Commercial: 1

Price Includes

Land: 1

Present Use

Lot: 1

Potential Use

Commercial: 1 Recreational: 1 Other: 1

Road Frontage

State Road: 1

Lot Description

Level: 1

Improvements

Finish Grading: 1

Utilities

Cable Available: 1 Electricity Available: 1 Fiber Optics Available: 1 Natural Gas Available: 1

Restrictions

Other: 1

Financing

Cash: 1 Conventional: 1

Originating Details

Originating System ID: ROAMP Originating System Key: 2023004357 Originating System Listing ID: 2023004357 Originating System Name: ROAM Paragon

Location Tax Legal Info

Street Number: 33250 Street Name: LA HWY 16 Parish: Livingston State: LA Zip Code: 70706 Subdivision: Rural Tract (NO Subd) Area: LIV MLS Area 81 Tax Assessment Number: 999 Zone: Commercial Directions: Take Hwy 16 north towards Watson, property is located on the right just before Hunstock Park Townhomes.

Property Features

Land Type: Commercial Price Includes: Land Present Use: Lot Potential Use: Commercial; Recreational; Other Lot Description: Level Road Frontage: State Road Location: Rural Improvements: Finish Grading Utilities: Cable Available; Electricity Available; Fiber Optics Available; Natural Gas Available Restrictions: Other Financing: Cash; Conventional
Listing Office: Crossroads Realty, LLC
IDX
Last Updated: March - 24 - 2026
The data relating to real estate for sale or lease on this website comes in part from the IDX program of the REALTOR® Association of Acadiana MLS. The IDX information is provided exclusively for consumers’ personal, non-commericial use and may not be used for any purpose other than to identify prospective properties consumers may be interested in purchasing. Data is deemed reliable but is not guaranteed accurate by the MLS.