33250 LA HWY 16, Denham Springs, LA 70706
$950,000
Property Type:
Land
Lot Size (sq. ft.):
111,514
Status:
Active
Current Price:
$950,000
List Date:
3/21/2023
Last Modified:
11/16/2025
Description
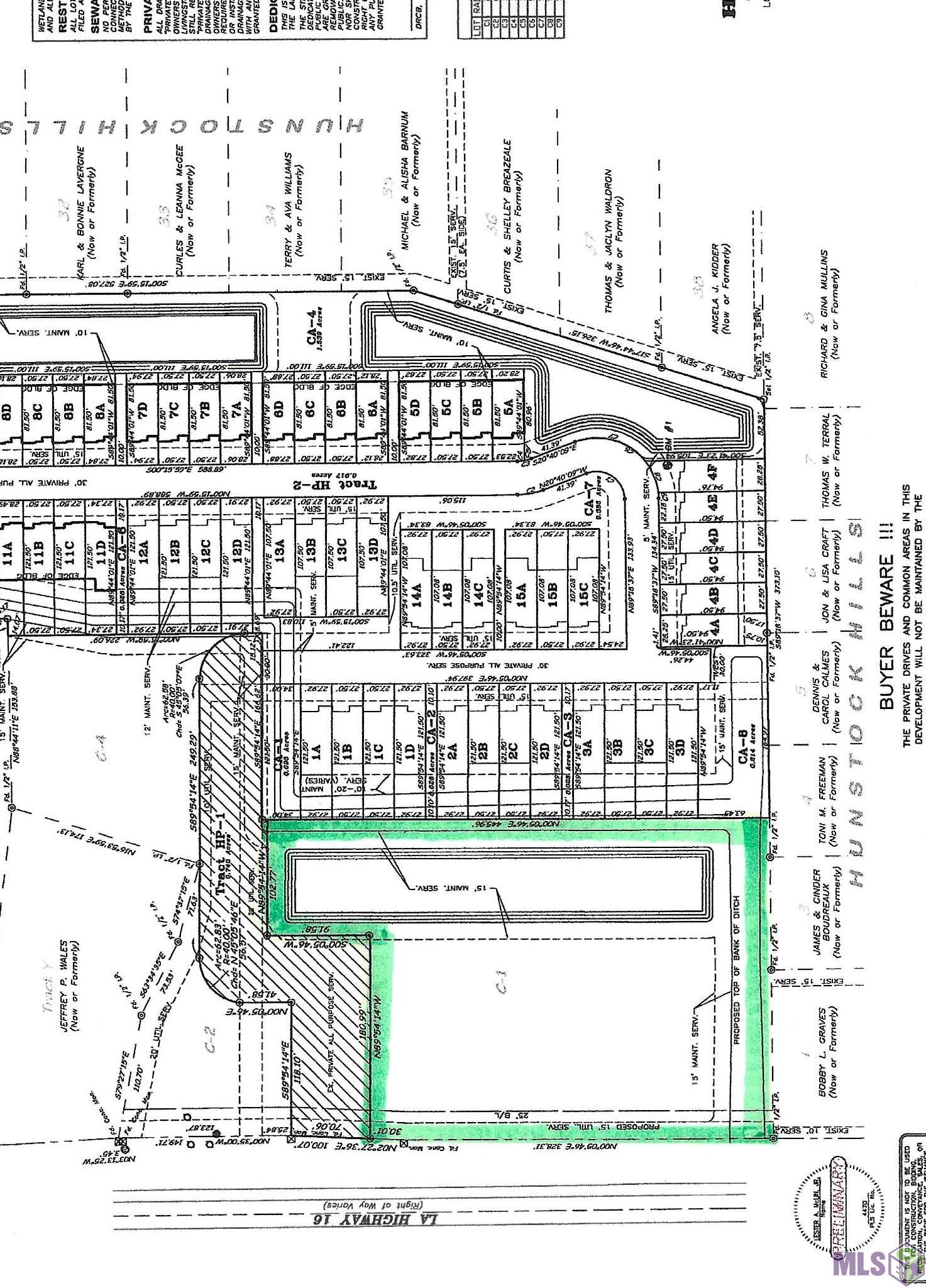
Prime commercial lot in Watson. This 2.56 acre tract includes 358' of road frontage and is zoned commercial. The detention area is constructed and the lot has access to sewer, water, Demco, AT&T and Cox fiber. The 1 year permitting process and the civil work is complete. Includes all engineering fees $50,000+. It is ready to build on!
Supplements: ********
More Information MLS# BR2023004357
Listing Info
Document Modified: 2025-11-07 06:21:10.566525
Status: Active
Listing Date: 2023-03-21
Listing Price: 950000
Current Price: $950,000
Modification Timestamp: 2025-11-16T13:00:11Z
Photo Modified: 2024-08-19T17:34:53Z
Location, Tax & Legal Info
School District: Livingston Parish
Legal Desc: Parcel #0029082 2.56 acres Tract M-1 SEC 46-6-3
Location
Rural: 1
General Property Description
Lot Dimensions: 358.31X180.99X91.58X102.77X445.96X283.76
St Front (Ft): 358
Mobile Allowed: No
Cleared %: 100
Mineral Rights: Reserved
Acreage Range: 1 - 2.99
Acres: 2.56
Remarks & Misc
Remarks: Prime commercial lot in Watson. This 2.56 acre tract includes 358' of road frontage and is zoned commercial. The detention area is constructed and the lot has access to sewer, water, Demco, AT&T and Cox fiber. The 1 year permitting process and the civil work is complete. Includes all engineering fees $50,000+. It is ready to build on!
Office/Member/Contract Info
List AOR: GBRAR
Land Type
Commercial: 1
Price Includes
Land: 1
Present Use
Lot: 1
Potential Use
Commercial: 1
Recreational: 1
Other: 1
Road Frontage
State Road: 1
Lot Description
Level: 1
Improvements
Finish Grading: 1
Utilities
Cable Available: 1
Electricity Available: 1
Fiber Optics Available: 1
Natural Gas Available: 1
Restrictions
Other: 1
Financing
Cash: 1
Conventional: 1
Originating Details
Originating System ID: ROAMP
Originating System Key: 2023004357
Originating System Listing ID: 2023004357
Originating System Name: ROAM Paragon
Location Tax Legal Info
Street Number: 33250
Street Name: LA HWY 16
Parish: Livingston
State: LA
Zip Code: 70706
Subdivision: Rural Tract (NO Subd)
Area: LIV MLS Area 81
Tax Assessment Number: 999
Zone: Commercial
Directions: Take Hwy 16 north towards Watson, property is located on the right just before Hunstock Park Townhomes.
Property Features
Land Type: Commercial
Price Includes: Land
Present Use: Lot
Potential Use: Commercial; Recreational; Other
Lot Description: Level
Road Frontage: State Road
Location: Rural
Improvements: Finish Grading
Utilities: Cable Available; Electricity Available; Fiber Optics Available; Natural Gas Available
Restrictions: Other
Financing: Cash; Conventional
Documents
Listing Office:
Crossroads Realty, LLC
IDX
Last Updated: November - 16 - 2025
The data relating to real estate for sale or lease on this website comes in part from the IDX program of the REALTOR® Association of Acadiana MLS. The IDX information is provided exclusively for consumers’ personal, non-commericial use and may not be used for any purpose other than to identify prospective properties consumers may be interested in purchasing. Data is deemed reliable but is not guaranteed accurate by the MLS.
Arial View ›