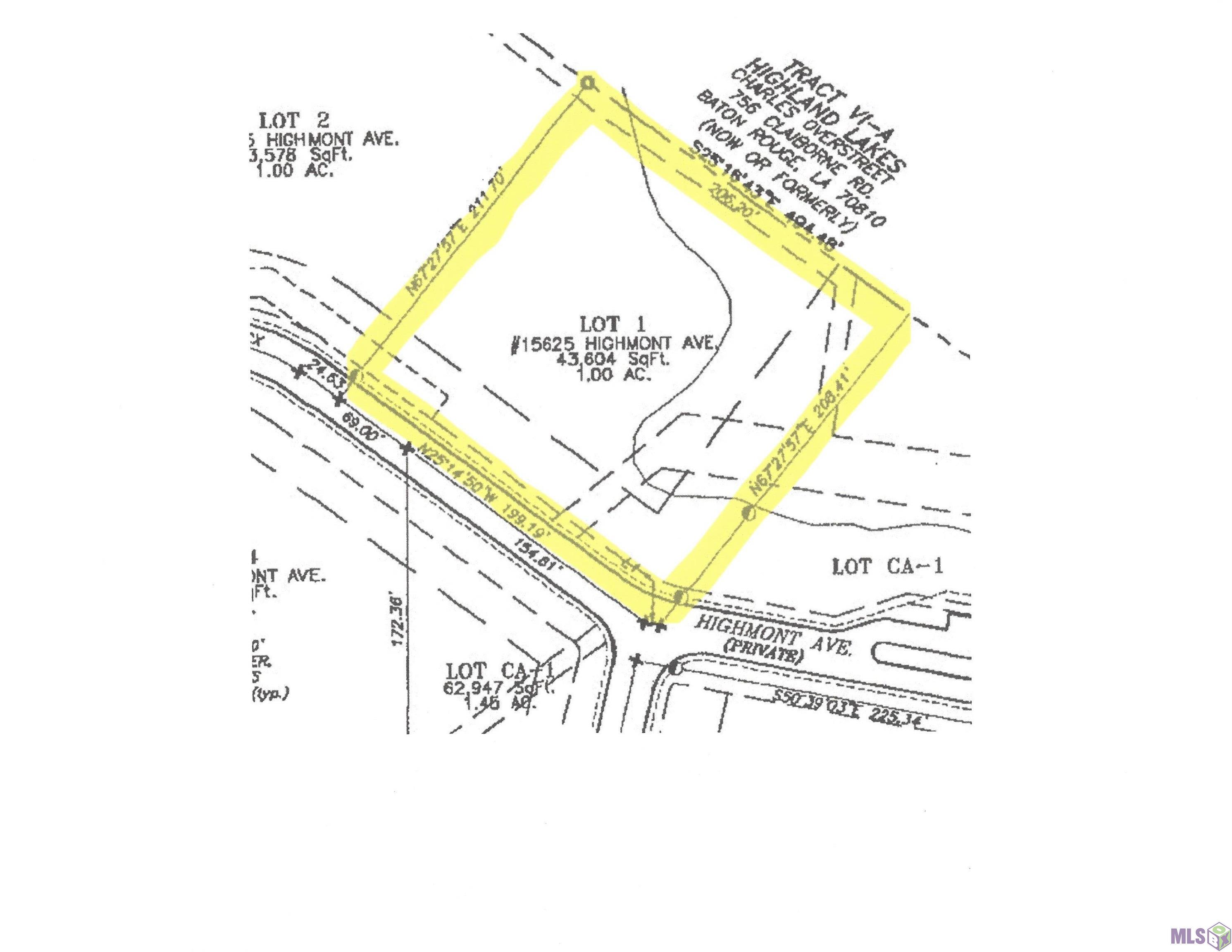
15625 HIGHMONT AVE, Saint George, LA 70810
$559,000
Property Type:
Land
Lot Size (sq. ft.):
43,560
Status:
Active
Current Price:
$559,000
List Date:
9/01/2025
Last Modified:
3/25/2026
Description
Where Privacy Meets Community - One Acre Lots Highlake is a unique collection of estate-sized home sites located in a rare, countryside setting just off Highland Road. This gated community is set back from the street, these estates offer the opportunity to create a large family home with the perfect balance of privacy and community. http://www.highlakebr.com
Supplements: ********
More Information MLS# BR2026005249
Listing Info
Delayed Marketing: No
Status: Active
Listing Date: 2025-09-01
Listing Price: 559000
Current Price: $559,000
Modification Timestamp: 2026-03-25T04:48:22Z
Photo Modified: 2026-03-25T00:10:21Z
Location, Tax & Legal Info
School District: East Baton Rouge
Location
Suburban: 1
General Property Description
Lot Dimensions: 199' x 208' x 206' x 211'
Mobile Allowed: No
Mineral Rights: Negotiable
Assn Fee Terms: Yearly
Acreage Range: 1 - 2.99
Acres: 1
Remarks & Misc
Remarks: Where Privacy Meets Community - One Acre Lots Highlake is a unique collection of estate-sized home sites located in a rare, countryside setting just off Highland Road. This gated community is set back from the street, these estates offer the opportunity to create a large family home with the perfect balance of privacy and community. http://www.highlakebr.com
Office/Member/Contract Info
List AOR: GBRAR
Land Type
Residential: 1
Price Includes
Land: 1
Potential Use
Single Family: 1
Road Frontage
Private Road: 1
Lot Description
Interior Lot: 1
Improvements
Lot Staked: 1
Rough Graded: 1
Sidewalks: 1
Storm Drains: 1
Buildings
None: 1
Farm Equipment
None: 1
Utilities
Cable Connected: 1
Electricity Connected: 1
Natural Gas Connected: 1
Restrictions
Building: 1
Covenants: 1
Deed Restrictions: 1
Amenities
Gated Community: 1
Financing
Conventional: 1
Originating Details
Originating System ID: ROAMP
Originating System Key: 2026005249
Originating System Listing ID: 2026005249
Originating System Name: ROAM Paragon
Location Tax Legal Info
Street Number: 15625
Street Name: HIGHMONT AVE
Parish: East Baton Rouge
State: LA
Zip Code: 70810
Area: EBR MLS Area 53
Tax Assessment Number: 00000
Directions: Located off of Highland Road, turn on to Fulwar Skipwith Rd., proceed to Claiborne Rd. Highlake is located at the corner of Claiborne Rd. and Edmund Hawes Dr. http://www.highlakebr.com
Property Features
Land Type: Residential
Price Includes: Land
Potential Use: Single Family
Lot Description: Interior Lot
Road Frontage: Private Road
Location: Suburban
Improvements: Lot Staked; Rough Graded; Sidewalks; Storm Drains
Buildings: None
Farm Equipment: None
Utilities: Cable Connected; Electricity Connected; Natural Gas Connected
Restrictions: Building; Covenants; Deed Restrictions
Amenities: Gated Community
Financing: Conventional
Listing Office:
Capco Realty
IDX
Last Updated: March - 25 - 2026
The data relating to real estate for sale or lease on this website comes in part from the IDX program of the REALTOR® Association of Acadiana MLS. The IDX information is provided exclusively for consumers’ personal, non-commericial use and may not be used for any purpose other than to identify prospective properties consumers may be interested in purchasing. Data is deemed reliable but is not guaranteed accurate by the MLS.
