1025 AIRLINE Drive, Kenner, LA 70062
$5,000,000
Property Type:
Comm Bldg Sale/Lease
Status:
Active
Current Price:
$5,000,000
List Date:
1/21/2026
Last Modified:
1/30/2026
Description
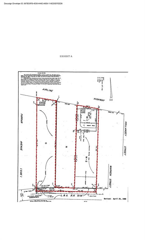
1025 Airline Drive offers a rare +-6.75-acre development opportunity in the heart of Kenner's highly trafficked Airline Drive corridor, just minutes from Louis Armstrong New Orleans International Airport (MSY). The site benefits from excellent visibility and accessibility, positioning it ideally for a wide range of commercial, industrial, or logistics users seeking proximity to the airport and major transportation routes. Located in one of the most active commercial corridors in the metro area, the property provides convenient access to I-10, I-310, and the broader Greater New Orleans region. Surrounding uses include industrial, hospitality, retail, and service-oriented businesses, reinforcing the site's strong market fundamentals. With its size, location, and connectivity, 1025 Airline Drive presents a compelling opportunity for developers or owner-users looking to capitalize on airport-adjacent growth and long-term demand.
Supplements: ********
More Information MLS# NO2539386
Listing Info
Delayed Marketing: No
For Sale: Yes
Document Modified: 2026-01-30 14:04:15.906044
Status: Active
Listing Date: 2026-01-21
Listing Price: 5000000
Current Price: $5,000,000
Modification Timestamp: 2026-01-30T20:04:15Z
Photo Modified: 2026-01-30T20:04:15Z
General Property Description
Lot Dimensions: 294030
SqFt - Total: 0
SqFt - Source: Measured
Acreage Range: 0 - 0.5
Sale/Lease Info
Lease Purchase: No
Remarks & Misc
Remarks: 1025 Airline Drive offers a rare +-6.75-acre development opportunity in the heart of Kenner's highly trafficked Airline Drive corridor, just minutes from Louis Armstrong New Orleans International Airport (MSY). The site benefits from excellent visibility and accessibility, positioning it ideally for a wide range of commercial, industrial, or logistics users seeking proximity to the airport and major transportation routes. Located in one of the most active commercial corridors in the metro area, the property provides convenient access to I-10, I-310, and the broader Greater New Orleans region. Surrounding uses include industrial, hospitality, retail, and service-oriented businesses, reinforcing the site's strong market fundamentals. With its size, location, and connectivity, 1025 Airline Drive presents a compelling opportunity for developers or owner-users looking to capitalize on airport-adjacent growth and long-term demand.
Office/Member/Contract Info
List AOR: NOMAR
Property Type
Industrial: 1
Originating Details
Originating System ID: ROAMM
Originating System Key: 56783039
Originating System Listing ID: 2539386
Originating System Name: ROAM Matrix
Location Tax Legal Info
Street Number: 1025
Street Name: AIRLINE Drive
Parish: Jefferson
State: LA
Zip Code: 70062
Tax Assessment Number: 3923215770
Zone: S-1
Directions: Bounding Streets: Warren St, Farrar Ave
Property Features
Property Type: Industrial
Documents
Listing Office:
Southeast Commercial of MS, LLC
IDX
Last Updated: January - 30 - 2026
The data relating to real estate for sale or lease on this website comes in part from the IDX program of the REALTOR® Association of Acadiana MLS. The IDX information is provided exclusively for consumers’ personal, non-commericial use and may not be used for any purpose other than to identify prospective properties consumers may be interested in purchasing. Data is deemed reliable but is not guaranteed accurate by the MLS.

Marketing Package ›