0 HIGHWAY 190 Highway, Mandeville, LA 70471
$899,000
Property Type:
Comm Bldg Sale/Lease
Square Footage:
80,237
Lot Size (sq. ft.):
80,150
Status:
Active
Current Price:
$899,000
List Date:
8/01/2025
Last Modified:
1/12/2026
Description
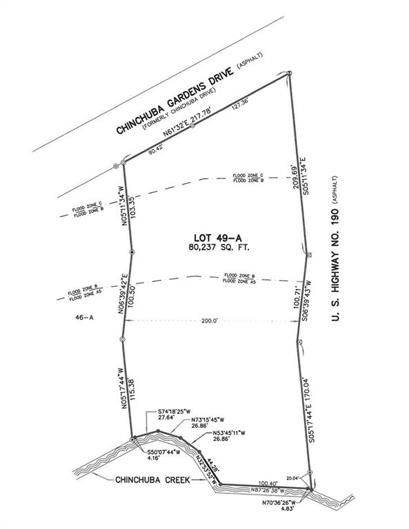
Here is your opportunity to relocate your business to the heart of Mandeville's business area at an excellent price. You have excellent visibility, 480 ft of road frontage and an average lot depth of 200 ft. This property can be subdivided. The NC-1 zoning allows for a minimum lot size of 20,000 square ft for office use. Permitted uses are: Law Offices, Architectural offices, accountant offices, real estate offices, insurance offices, business offices, doctor, dentist, and chiropractor offices, veterinary clinics, and other professional offices. See Zoning attachment for additional uses.
Supplements: ********
More Information MLS# NO2515755
Listing Info
For Sale: Yes
List Price/SqFt: 11.2
Document Modified: 2025-08-07 13:45:13.056260
Status: Active
Listing Date: 2025-08-01
Listing Price: 899000
Current Price: $899,000
Modification Timestamp: 2026-01-12T20:41:43Z
Photo Modified: 2025-08-07T18:50:18Z
Location, Tax & Legal Info
Legal Desc: As Per Title
General Property Description
Lot Dimensions: 80,237
SqFt - Total: 80237
SqFt - Source: Public Record
Acreage Range: 1 - 2.99
Acres: 1.84
Sale/Lease Info
Lease Purchase: No
Remarks & Misc
Remarks: Here is your opportunity to relocate your business to the heart of Mandeville's business area at an excellent price. You have excellent visibility, 480 ft of road frontage and an average lot depth of 200 ft. This property can be subdivided. The NC-1 zoning allows for a minimum lot size of 20,000 square ft for office use. Permitted uses are: Law Offices, Architectural offices, accountant offices, real estate offices, insurance offices, business offices, doctor, dentist, and chiropractor offices, veterinary clinics, and other professional offices. See Zoning attachment for additional uses.
Office/Member/Contract Info
List AOR: NOMAR
Parking
None: 1
Originating Details
Originating System ID: ROAMM
Originating System Key: 52063941
Originating System Listing ID: 2515755
Originating System Name: ROAM Matrix
Location Tax Legal Info
Street Name: HIGHWAY 190 Highway
Parish: St. Tammany
State: LA
Zip Code: 70471
Tax Assessment Number: 39395
Zone: NC-1
Directions: Causeway blvd to Mandeville hwy 190 exit. Go right and property is on corner of Chinchuba Gardens to the creek. Bounding Streets: Chinchuba Gardens Drive
Property Features
Parking: None
Documents
Listing Office:
REMAX ALLIANCE
IDX
Last Updated: January - 12 - 2026
The data relating to real estate for sale or lease on this website comes in part from the IDX program of the REALTOR® Association of Acadiana MLS. The IDX information is provided exclusively for consumers’ personal, non-commericial use and may not be used for any purpose other than to identify prospective properties consumers may be interested in purchasing. Data is deemed reliable but is not guaranteed accurate by the MLS.

New Attachment ›